葵菜-古时候的百菜之主,现在是野草一枚
葵菜-古时候的百菜之主,现在是野草一枚

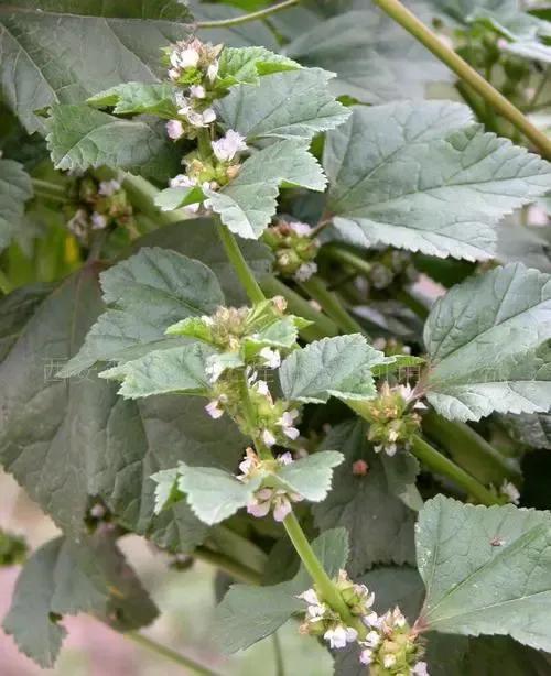
葵菜,也叫冬寒菜,冬苋菜,再简单点,就叫冬葵。个子高,不分枝,喜湿润,耐低温,耐轻霜,怕大热怕大冻,常在下湿的地畔,沟滩能见到。
一

叶子圆润,常有多个裂片或裂角,叶尾如心;裂片如三角,但显圆润;叶缘有细细的锯齿;叶子大都皱缩扭曲,两面光堂,叶柄柔弱,疏被柔毛。
二

葵菜花儿,单生或簇生叶腋间,几乎没有花梗;苞叶如针披散,毛格挼挼;花萼如浅杯,分裂成三角形状,也是毛格挼挼;花瓣凸出花萼,先是扭作一团,随后绽放,花瓣如卵,五片花瓣聚集在花心周围,跟磨盘花相似,只不过它是白色的小花儿。
三
葵菜果是大红花的微缩版,像个扁平的圆饼,分果十一爿(pan),排成圆圈,倒也整齐;种子如肾,碎碎的颗粒,暗黑色。

小时候,经常抠的吃里面的嫩籽,白白的,甜甜的,滑滑的,有点粘。
四
葵菜是蔬菜。古代五大蔬菜,“葵、薤、葱、藿、韮”,葵就指葵菜。从汉到明,种植千年。因其甘美润滑,口感爽脆,元代王禛夸赞道:葵为百菜之主,备四时之馔。

随着域外蔬菜的输入,口感更好,营养价值更高的品种取代了它,又过千年,它沦落为野菜一枚,孤独在田边地头,寂寞在荒郊野外,随意地长叶,自由地开花,不再有人问津。
现如今,秋葵红样了,冬葵没落了,或许是各领风骚吧。
网图,侵删。
标签:
